close Đăng nhập

Vietnam Airlines "vỡ kế hoạch" cả chục chuyến bay vì siêu bão Nepartak

VietTimes - Vietnam Airlines đã phải điều chỉnh hàng lọt chuyến bay đến Đài Loan do ảnh hưởng của bão Nepartak. 
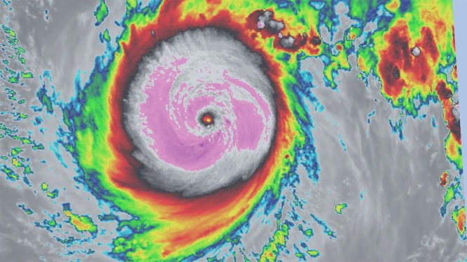
siêu bão NEPARTAK hình thành trên vùng biển đông bắc đảo Luzon (Philippines) với gió mạnh nhất gần tâm bão đạt cấp 17 (khoảng 200 - 220km/giờ).
siêu bão NEPARTAK hình thành trên vùng biển đông bắc đảo Luzon (Philippines) với gió mạnh nhất gần tâm bão đạt cấp 17 (khoảng 200 - 220km/giờ).

Do ảnh hưởng của cơn bão Nepartak, Tổng công ty Hàng không Việt Nam (Vietnam Airlines) thông báo điều chỉnh kế hoạch bay giữa Việt Nam (Hà Nội, Tp. Hồ Chí Minh) và Đài Loan (Đài Bắc, Cao Hùng) trong ngày 07 và 08/7/2016 để đảm bảo an toàn trong khai thác, cụ thể như sau:

-            Ngày 07/7: không khai thác 04 chuyến bay VN578, VN570, VN586, VN580 từ Hà Nội, Tp. Hồ Chí Minh đi Đài Bắc, Cao Hùng;

-            Ngày 08/7: không khai thác 06 chuyến bay trong đó: 05 chuyến VN579, VN571, VN587, VN581, VN583 từ Đài Bắc, Cao Hùng đi Hà Nội, Tp. Hồ Chí Minh và 01 chuyến VN582 từ Tp. Hồ Chí Minh đi Cao Hùng;

Ngoài ra, 04 chuyến bay giữa Hà Nội, Tp. Hồ Chí Minh và Đài Bắc (VN570, VN576, VN577, VN578) và 02 chuyến bay giữa Hà Nội, Tp. Hồ Chí Minh và Cao Hùng (VN580, VN586) cũng đang được xem xét kế hoạch khai thác trên cơ sở diễn biến thực tế của bão. Dự kiến, đến ngày 09/7, các chuyến bay giữa Việt Nam và Đài Loan sẽ trở lại khai thác bình thường.

"Vietnam Airlines đề nghị hành khách có hành trình nối chuyến qua Đài Loan và hành khách đến/đi từ Đài Loan trong thời gian này nên thường xuyên cập nhật tình hình bão nhằm chủ động lịch trình đi lại và liên lạc với phòng vé, đại lý chính thức của Vietnam Airlines để đổi ngày bay nếu có nhu cầu", đại diện Vietnam Airlines chia sẻ và mong nhận được sự thông cảm của hành khách trong trường hợp bất khả kháng do bão này.

Ngày 6.7, Trung tâm dự báo khí tượng thủy văn T.Ư phát tin cảnh báo siêu bão NEPARTAK hình thành trên vùng biển đông bắc đảo Luzon (Philippines) với gió mạnh nhất gần tâm bão đạt cấp 17 (khoảng 200 - 220km/giờ), giật trên cấp 17.

Dự báo trong 24 giờ tới, siêu bão di chuyển với tốc độ nhanh từ 25 - 30 km/giờ theo hướng tây tây bắc. Đến 13 giờ ngày 7.7, vị trí tâm bão ở tọa độ cách đảo Đài Loan khoảng 280 km về phía đông nam.

Cho đến 13 giờ ngày 8.7, tâm bão nằm trên vùng biển phía tây đảo Đài Loan với sức gió giảm xuống cấp 16, tức là từ 185 - 200 km/giờ, giật cấp 17.

Trung tâm dự báo khí tượng thủy văn T.Ư cho biết do ảnh hưởng của bão NEPARTAK, từ đêm 7.7 vùng bắc Biển Đông bắt đầu có gió mạnh cấp 6 - 8, sau đó sẽ tăng lên cấp 9 - 10, giật cấp 12 - 13 khiến biển động rất mạnh và mưa giông, lốc xoáy mạnh sẽ xuất hiện nhiều hơn.

X.T

Chuyện doanh nhân

Hồ sơ dàn lãnh đạo Tập đoàn PC1 vừa bị khởi tố

Hồ sơ dàn lãnh đạo Tập đoàn PC1 vừa bị khởi tố

Trong vụ PC1 mới đây, có tổng cộng 4/5 thành viên HĐQT đều vướng vòng lao lý. Trong khi ban điều hành có 8 người, thì 5 người bị điều tra. Đáng nói, những lãnh đạo hầu hết đã gắn bó với PC1 từ những năm đầu 2000.

Tân Chủ tịch HĐQT Vinaconex Nguyễn Xuân Đông

Vinaconex đổi Chủ tịch HĐQT sau chưa đầy 3 tháng

Chỉ sau chưa đầy 3 tháng đảm nhiệm cương vị Chủ tịch HĐQT, ông Trần Đình Tuấn đã nộp đơn từ nhiệm tại Vinaconex. Doanh nghiệp đồng thời bầu ông Nguyễn Xuân Đông làm Chủ tịch nhiệm kỳ 2022-2027.

Ông Phạm Thanh Hưng

Vì sao Shark Hưng xin rút khỏi HĐQT Cen Land?

Ông Phạm Thanh Hưng cho biết đã được bầu vào HĐQT Cen Land nhiệm kỳ 2023-2028 nhưng muốn tập trung vào công việc cá nhân và định hướng mới nên xin từ nhiệm vị trí thành viên HĐQT.

CEO Nvidia Jensen Huang và CEO OpenAI Sam Altman. Ảnh: FT.

Công nghệ biến đổi bản đồ tỷ phú thế giới năm 2025

Bản đồ tỷ phú thế giới năm 2025 ghi nhận những biến động mang tính kỷ lục, khi có những người giàu nhanh chưa từng có. Động lực cốt lõi đứng sau làn sóng này chính là nhờ trí tuệ nhân tạo (AI) và các đột phá công nghệ liên quan.

5 doanh nhân tuổi Ngọ và dấu ấn trên thương trường Việt

5 doanh nhân tuổi Ngọ và dấu ấn trên thương trường Việt

Năm Bính Ngọ 2026 là năm tuổi của nhiều doanh nhân thành đạt như Chủ tịch ACB Trần Hùng Huy, Chủ tịch Tổng Công ty 36 Nguyễn Đăng Giáp, Chủ tịch Tư vấn Quản lý BDSC Lê Quang Phúc, Phó Chủ tịch Nam Long Trần Thanh Phong, nhà sáng lập Phở 24 Lý Quí Trung và nhiều doanh nhân đình đám khác.