Hiện nay trong khu vực Đông Nam Á, duy nhất có Việt Nam sở hữu tên lửa đạn đạo Scud. Một số nguồn tin cho biết Việt Nam sở hữu tên lửa Scud-B. Tuy nhiên, theo tài liệu Cán cân Quân sự năm 2012, của Viện Nghiên cứu Chiến lược Quốc tế (CSIS) đã liệt kê mục “SSM Scud-B/Scud-C (báo cáo)” ở phần tên lửa Việt Nam.
Báo QĐND cho biết Việt Nam đã thành công trong việc sản xuất một trong những thành phần quan trọng trong nhiên liệu lỏng sử dụng cho tên lửa Scud. Theo một số nguồn tin không chính thức, với sự giúp đỡ của chuyên gia nước ngoài, Việt Nam cũng đã cải tiến, nâng cấp tầm bắn tên lửa Scud lên từ 550-700 km và luôn duy trì tốt các đơn vị tên lửa này trong trạng thái sẵn sàng chiến đấu.
![]() |
| Tên lửa Scud Việt Nam triển khai ngoài thao trường. |
![]() |
| Một đơn vị tên lửa Scud của Việt Nam. |
Tổ hợp tên lửa Scud - B (9K72) được phát triển trong giai đoạn những năm 1958-1961 trong SCB-385 (Kỹ sư trưởng – V.P. Makeev) với một số Phòng thiết kế thử nghiệm (OKB) và các viện nghiên cứu (NII). Các nhà phát triển của các hệ thống chính của tổ hợp tên lửa đã được chỉ định gồm:
NII-592 - hệ thống điều khiển trên thân xe (kỹ sư thiết kế chính – Semikhatov. N.A); OKB-3 – động cơ đẩy giai đoạn đầu của tên lửa bay thử nghiệm (kỹ sư thiết kế chính – D.D. Sevruk, kỹ sư chủ nhiệm thiết kế - NI Leontiev); OKB-5 - động cơ đẩy giai đoạn thứ hai của chuyến bay thử nghiệm (Kỹ sư trưởng – A.M. Isaev, kỹ sư chủ nhiệm thiết kế - N. Malyshev);
NII-944 – bộ phận con quay hồi chuyển (thiết kế chính - V. Kuznetsov);
NII-6 – khối nổ phá và các thiết bị, đầu đạn thông thường trong đầu tên lửa; NII-1011 MSM – khối nổ đặc biệt và thiết bị tự động hóa điện tử (chủ nhiệm khoa học - Khariton, kỹ sư thiết kế chính - S.G.Kocharyants); GSKB – hệ thống các thiết bị mặt đất (kỹ sư thiết kế chính – V.P.Petrov, chủ nhiệm thiết kế Vanin. S.S); 784 nhà máy Kiev SNX - các thiết bị kính ngắm ( kỹ sư thiết kế trưởng Parnyakov.S.P); OKBT nhà máy Kirov Leningrad – Thiết bị khởi động trên xe khung gầm bánh xích ( kỹ sư thiết kế chính – Z.Y .Kotin);
CDB TM – Hệ thống khởi động phóng trên xe khung gầm bánh hơi ( kỹ sư thiết kế chính - N.A.Krivoshein).
Vào thời điểm này quân đội Liên Xô đã sử dụng tên lửa 8K11 trên thiết bị phóng 8U218 và khi phát triển tên lửa 8K14 các nhà thiết kế tập trung vào việc sử dụng các thiết bị-bệ phóng trên mặt đất, được thiết kế cho tên lửa 8K11. Phương pháp sử dụng bệ phóng trên mặt đất này tiết kiệm đáng kể thời gian và tiền bạc cần thiết để xây dựng một phương tiện phóng tên lửa hoàn toàn mới (tên lửa 8K14 được phát triển chỉ trong 3 năm và 5 tháng). Tổ hợp 9K72 với tên lửa 8K14 trên bệ phóng 2P19 (sử dụng thân xe ISU-152K) đã được giới thiệu với Hội đồng Bộ trưởng Liên bang Xô Viết.
Nghị quyết của Hội đồng Bộ trưởng của Liên Xô đã được thông qua ngày 24/3/1962 quyết định đưa vào biên chế trong lực lượng vũ trang Liên Xô. Khung gầm và thân xe bánh hơi không chịu đựng được tải trọng quá lớn của bệ phóng và tên lửa – điều kiện cần và đủ là phải gia cố và tăng cường khung chịu lực.
Sau này đã tiến hành hoàn thiệt bệ phóng 9P117 trên thân xe bốn cầu "MAZ-543A" và được thông qua bởi Hội đồng Bộ trưởng của Liên Xô № 75-26 ngày 27.1.1967. Sau đó các bệ phóng 2P19 được thay thế bằng 9P117, nhưng sự thay đổi này đã không được thực hiện trên toàn bộ Lực lương Lục quân. Vào cuối những năm 1980 bệ phóng tên lửa 2P19 vẫn còn phục vụ trong các lữ đoàn tên lửa ở Kandalaksha và Caucasus, nơi xe bánh xích phù hợp hơn với địa hình.
![]() |
Trong những năm dài phục vụ, tổ hợp tên lửa liên tục nâng cấp. Tên lửa nâng cấp 8K14-1 (P-17M) được thay thế bằng các tên lửa 8K14 (R-17) và không khác biệt về các tính năng kỹ chiến thuật. Các tên lửa trên chỉ khác nhau ở khả năng mang các đầu đạn khác nhau. 8K14-1 có thể mang đầu đạn nặng hơn hình dạng khí động học khác có thể được lắp đặt các bình ắc quy (tên lửa các thế hệ sau - đầu đạn hạt nhân với các bình khí nén). Đồng thời cũng không có những khác biệt về bệ phóng đạn. Bệ phóng 2P19 và 9P117 (mọi phiên bản) hệ thống điều khiển thiết bị phóng hoàn toàn giống nhau, có thể hoán đổi cho nhau.
Trong những năm 80 Trung tâm nghiên cứu khoa học tự động hóa và thủy lực (SIIG về tự động hóa và thủy lực) đã tiến hành nghiên cứu phát triển thiết kế thử nghiệm(R & D) chế tạo đầu đạn có thể tháo rời với hệ thống tự dẫn quang-điện tử cho R-17. Đã phát triển thuật toán phần mềm và phần mềm,các thiết bị hệ thống tự dẫn quang điện tử, hệ thống điều khiển thiết bị của đầu đạn trên tên lửa on-board, các trang thiết bị mặt đất xử lý hình ảnh mẫu chuẩn mục tiêu và các thiết bị nạp thông tin nhiệm vụ vào máy tính đường đạn ở phần đầu đạn của tên lửa.
Tên lửa nâng cấp được phóng thử nghiệm trong năm 1984. Hệ thống mới được gọi là "aerophones" nhưng các lần phóng thử nghiệmcho thấy kết quả phụ thuộc lớn vào điều kiện thời tiết tại khu vực địa hình phóng tên lửa và khu vực mục tiêu, chính vì vậy mà tổ hợp tên lửa nâng cấp không được đưa vào biên chế.
Tổ hợp tên lửa được xuất khẩu rộng rãi sang các nước Hiệp ước Warsaw, Iran, Iraq, Libya, Syria, Yemen, Việt Nam và những nước khác. Theo Ủy ban Bộ trưởng Quốc phòng của khối Hiệp ước Warsaw trên 1989/01/30 tại các nước thuộc khối Hiệp ước Warsaw đã được biên chế 661 tổ hợp tên lửa R-17.
9K72 hiện nay là lỗi thời, cồng kềnh, nhưng đủ độ tin cậy và vẫn còn trong biên chế, khai thác và sử dụng, mặc dù sản xuất tên lửa và các trang thiết bị, phụ tùng đã được dừng vào trong cuối thập niên 80. Khối quân sự NATO đã đặt tên hiệu của tổ hợp là "Scud"-B.
Cấu tạo hệ thống tên lửa Scud Elbrus
![]() |
1- Tấm chắn luồng nhiệt bệ phóng.
2- Bệ phóng 9N117.
3- Chân đế ổn định xe bệ phóng tên lửa.
4- Bảng điều khiển hệ thống chân đế ổn định và phóng đạn.
5- Bình chữa cháy.
6- Bảng điều khiển nâng/hạ bệ phóng.
7- Hộp đựng dụng cụ.
8- Chỗ ngồi cho trắc thủ trong buồng điều khiển.
9- Buồng điều khiển công tác chuẩn bị phóng.
10- Lưới lọc quạt thông gió.
11- Chỗ ngồi của kíp trắc thủ tên lửa.
12- Bình khí nén khởi động động cơ xe bệ phóng.
13- Bậc thang lên buồng lái.
14- Vị trí của lái xe.
15- Đèn pha.
16- Khoang động cơ.
17- Phần trên của khung nâng đạn.
18- Cửa hút không khí động cơ.
19- An ten đài vô tuyến điện.
20- Khoang kíp xe và đài vô tuyến điện.
21- Ngoàm khóa giữ đạn của khung nâng - đang mở.
22- Khung nâng đạn - đã hạ.
23- Buồng điều khiển bơm.
24- Thùng chứa chất ô xi hoá.
25- Thùng chứa nhiên liệu.
26- Khoang thiết bị hệ thống điều khiển số 1.
27- Lượng thuốc nổ đầu đạn tên lửa.
28- Đầu đạn 8F44F.
29- Thiết bị kích nổ va chạm
30- Bộ phận kích nổ đáy
31- Khoang thiết bị hệ thống điều khiển số 2
32- đường ống bọc cáp.
33- Đường ống dẫn nhiên liệu xuống động cơ.
34- Đường ống dẫn chất ô xi hoá.
35- Máy nén tuốc bin tăng áp của động cơ
36- Động cơ 9D21
37- Khí nén dùng khởi động hệ thống nhiên liệu
![]() |
| Bệ phóng đạn tên lửa nhìn từ phía sau. |
Biên chế của tổ hợp tên lửa 9K72 bao gồm:
Các tên lửa 8K14
Tùy theo yêu cầu nhiệm vụ, trên tên lửa có thể lắp các loại đầu đạn khác nhau như:
8F44, 8F44G1, đạn 269A trong vỏ đầu đạn 8F14, 3N8, đạn RA17 trong vỏ đầu đạn 9N33, RA104 trong vỏ đạn 9N33-1, RA104-1 trong vỏ đầu đạn 9N33, RA104-2 trong vỏ đầu đạn 9N33-1B.
Phương tiện, trang thiết bị nâng hạ vận tải:
2T3 (2T3M, 2T3M1) - xe vận tải đạn đường bộ.
9F21MA (9F21MU) 2U662D (2U662DU) 2U662M (2U662MU) 9F223 – xe trở và lưu giữ, bảo quản tên lửa, vào những năm 80-x đã thay thế bằng xe vận tải đặc biệt loại 8M257U1, NG2V1, NG22V1 (được phát triển từ các xe vận tải đặc biệt siêu trường, siêu trọng)
ZIL-157 (ZIL-131, Ural-4320) – xe vận tải được thiết kế để vận chuyển các tên lửa đã được lắp đặt đầy đủ trong container 9103-0.
8T22, 9T31M (9T31M1) - xe cẩu đặc chủng (có thể sử dụng xe KS2573)
9T37 – tổ hợp thiết bị cẩu
9T55A – tổ hợp thiết bị giá vận chuyển tên lửa.
Xe tiếp nhiên liệu với các thiết bị cấp nhiên liệu tên lửa:
2G1U (2G1), 9G29 (9G29M) – Xe cấp nhiên liệu với thiết bị cấp nhiên liệu tự động hóa (dầu- xăng)
8G17M1, 9G30 – Xe cấp nhiên liệu với thiết bị tự động hóa bơm oxy hóa (có thể sử dụng ASC-4-255B)
8T311 (8T311M) – Xe được trang bị thiết bị vệ sinh-trung hòa chất o xi hóa khử.
8G33U, UKS-400V - trạm nén khí hoàn chỉnh với thiết bị đồng hồ đo chỉ số độ ẩm 8SH31
Thiết bị kiểm tra và thử nghiệm:
2V11 (2V11M1) – xe máy thử nghiệm mặt phẳng ngang (IGI)
9V41 (9V41M) – Xe máy thử nghiệm khả năng công tác của tổ hợp(MAI)
8N01 (8N01M) – Xe máy phát điện bằng dầu diesen, có thể thay thế bằng trạm nguồn ESB-12-VS400 (máy phát điện diesel ESD-10)
Thiết bị bệ phóng tên lửa:
9P117 (9P117-1 9P117M, 9P117M1, 9P117M1-1 9P117M1-3) – Xe bánh hơi và trang thiết bị phóng đạn với thiết bị quang học ngắm và đo góc 8SH18.
2P19 (2P19-1) - Xe bánh xích và trang thiết bị phóng đạn với thiết bị quang học ngắm và đo góc 8SH18.
Các xe trang thiết bị phụ kiện và hỗ trợ hậu cần, kỹ thuật:
2SCH1 (2SCH1M2) – xe mang thiết bị, phụ tùng và cơ sở vật chất thay thế.
2T5 – thiết bị xe đẩy chứa tên lửa
8G27 (8G27U, 8G27K) – máy sấy không khí
8YU11 (8YU11U) - lều bạt có thiết bị sưởi
8YU44 (8YU44M) - phòng thí nghiệm hóa học cơ động
9V292 – Thiết bị máy "điều khiển" (Hoặc máy Polina)
9T114 - Xe đẩy để vận tải hàng không(các đầu đạn tên lửa trong thùng tiêu chuẩn).
![]() |
9P117M xe vận tải và bệ phóng (phương tiện mang tên lửa “xe tên lửa”) được phát triển dựa khung gầm thân xe bốn cầu MAZ-543. động cơ diesel D12A-525 Mười hai xi lang làm mát bằng chất lỏng (nước hoặc chất lỏng chống đông) với công suất đầu ra 525 mã lực ..tốc độ quay là 2000 vòng/phút cho phép vận chuyển trang thiết bị phóng tên lửa và một tên lửa dày đã nạp đủ nhiên liệu và lắp đầu đạn sẵn sàng chiến đấu, di chuyển với tốc độ 15km / h trên đường đất và 45 km / h trên đường nhựa. Động cơ được đặt ở khoang trước của xe tên lửa.
Ở hai bên của đầu xe là hai cabin ghế kép, được chế tạo bằng nhựa polyester gia cố bằng sợi thủy tinh. Chỗ ngồi trong cabin được đặt song song. Các bánh xe tên lửa đều là bánh chủ động, với một hệ thống điều chỉnh áp suất không khí trong lốp xe. Cặp bánh đầu tiên và thứ hai của xe là bánh lái. Tất cả các bánh xe có hệ thống treo giảm xóc độc lập.
![]() |
Tính năng kĩ chiến thuật của khung thân xe 9P117M:
Trọng lượng:
-- Bao gồm cả tên lửa đã nạp nhiên liệu: 37.400 kg
-- Không có tên lửa 30.600 kg
![]() |
Kích thước chung
- Chiều dài thân xe: 13.360 mm
- Chiều rộng thân xe: 3.020 mm
- Chiều cao khi cơ động: 3.330 mm
- Chiều cao trong trạng thái chiến đấu : 13.670 mm
- Phù hợp toa xe vận tải đường sắt:
-- Theo tiêu chuẩn đường sắt Liên Xô : Toa xe cỡ 1V
-- Theo tiêu chuẩn đường sắt phương Tây: Toa xe cỡ 02-T
- Trọng tâm ngang theo trục dọc thân xe:
-- Từ mặt đất : 1.720 mm
-- Từ điểm xa nhất: 6.400 mm
- Chế độ lái: lái bán tự động có trợ lực tay lái.
Trang thiết bị thông tin liên lạc:
-- với bên ngoài : đài vô tuyến điện R-123
-- nội bộ : thiết bị đàm thoại nội bộ R-124
- Động cơ diesel 12 xi lanh: D12A-525A
- Công suất với tốc độ vòng quay trung bình 2.100 vòng/phút : 525 mã lực
Xe có sat xi 4 cầu 8 bánh với hệ thống giảm xóc treo độc lập, hai cầu trước là cầu lái. Bánh xe có chế độ bơm hơi tự động.
Khung xe cơ bản dài - 7700 mm
Khoảng sáng gầm xe - 440 mm
Khổ rộng thân xe - 2375 mm
Tốc độ cơ động với tên lửa chưa nạp nhiên liệu và chưa lắp đầu đạn:
- đến 60 km/h trên đường nhựa, đoạn đường hành quân đến 2000 km.
- đến 40 km/h trên đường đất, đoạn đường hành quân 500 km.
Tốc độ cơ động với tên lửa chưa nạp nhiên liệu và đã lắp đầu đạn: 10 km/h trên khoảng cách đến 15 km nhẹ nhàng.
Tốc độ hành quân với tên lửa đã nạp nhiên liệu, có đầu đạn và không có đầu đạn 60 km/h đường nhựa, 40 km/h đường đất trên đoạn đường hành quân 2000 km.
Dự trữ hành trình - 650 km (đường nhựa), 500 km (đường đất)
Bán kính vòng xe - 13.5 m
Vượt hào chướng ngại vật rộng: 2,5 m
Thời gian nâng giá đỡ tên lửa không có đạn - 2.0-3.5 phút
Thời gian nâng tên lửa vào vị trí phóng - 2.25-3.5 phút
Thời gian hạ giá phóng tên lửa không đạn - 3.0-4.4 phút
Thời gian hạ tên lửa về vị trí cơ động hành quân - 3.0-4.0 phút
Góc phóng mặt phẳng ngang +80 độ.
Tên lửa 8K14
![]() |
![]() |
![]() |
| Đuôi đạn tên lửa. |
![]() |
| Thân tên lửa. |
Tên lửa 8K14 - là tên lửa đạn đạo với động cơ tên lửa sử dụng nhiên liệu lỏng (LRE), hệ thống điều khiển đạo hàng quán tính tự định hướng, hệ thống tự hủy đầu đạn khi có sự cố và các đầu đạn không thể tháo rời trên quỹ đạo bay. Động cơ nhiên liệu lỏng (LRE) đẩy tên lửa bay với tầm bắn tối đa là 300 km (bán kính tối thiểu - 50 km). Tầm bắn hiệu quả là - 275 km. Dự trữ nhiên liệu của động cơ-100s. Hệ thống điều khiển tên lửa 8K14 được thiết kế để chuẩn bị khởi động động cơ tên lửa, phóng tên lửa và điều khiển đường bay của tên lửa.
Hệ thống tự hủy tên lửa trên đường bay(APR) được thiết kế để phá hủy đầu đạn trong không khí trong trường hợp tên lửa không bay đúng quỹ đạo điều khiển. Tầm cao tối đa của quỹ đạo của tên lửa - 86 km, tối thiểu - 24 km. Thời gian bay - từ 165s đến 313s. Hệ thống điều khiển tên lửa duy trì độ lệch trung bình theo hình trụ tròn xoay có chiều dài từ 180 đến 610m và chiều rộng từ 100 đến 350m. Bộ phận điều khiển đường bay tên lửa là các vòi khí động lực, đặt ở miệng ống phụt của vòi phun.
![]() |
| Động cơ tên lửa nhiên liệu lỏng |
![]() |
| Hệ thống con quay hồi chuyển hướng thẳng đứng. |
Tên lửa được nạp nhiên liệu:
AK-27 Chất oxy hóa "Melange" (trọng lượng - 2919 kg, mật độ - 1,596-1,613),
Axit nitric đậm đặc - 69,8-70,2%
đinitơ tetroxide N2O4- 24 - 28%
Nước - 1,3-2%
Muối nhôm - không quá 0.01%
I-ốt - 0,12-0,16% (chất ức chế)
Nhiên liệu chính TM-185 (trọng lượng - 822 kg)
Polimerdistillyat - 56 + 1,5%
Dầu nhẹ nhiệt phân - 40 + -1.0% (tăng mật độ và tăng cường khả năng chống oxy hóa bởi oxy)
Trikrizol - 4 + -0.5% (chất chống đông ở nhiệt độ thấp)
Nhiên liệu phóng TG-02 "Samin" (trọng lượng - 30 kg, mật độ 0,835-0,855)
Xylidines đồng phân - 50 + -2%
Triethylamine công nghiệp (Samin)- 50 + -2%
Nước - 0,4%
Khí nén (tính theo trọng lượng - 15 kg).
Tên lửa 8K14 được trang bị đầu đạn hạt nhân 9N33 (PA-17), 9N33-1 (PA-104, PA-104-1, RA-104-2) hoặc 8F14 (269A) đương lượng nổ lên đến 10 kT (đạn loại RDS-4), đầu đạn 8F44 nổ phá , đầu đạn hóa học 8F44G1 (khối lượng khí gas V-555kg). Trọng lượng đầu đạn nặng - 987kg.
Đầu đạn (MS) được gắn với thân tên lửa bằng 16 bu lông với đệm vênh khóa chống thôi ốc. Để đảm bảo kết nối chính xác giữa đầu đạn với thân tên lửa có hai vấu định vị. Khi hai mặt bích khới nối với nhau, khe hở được bịt kín lại và niêm phong bằng băng polyethylene với một lớp keo dính GOST 20.477-75.
Để cung cấp nguồn điện với đầu đạn của tên lửa là các giắc cắp kết nối GSHR1, GSHR2, SH5A và 03. Thông qua các giắc kết nối GSHR1 và GSHR2 hệ thống thiết bị kiểm soát đầu đạn kết nối hệ thống mạch điều khiển tên lửa (thông qua giao diện hệ thống mạch điều khiển với đầu đạn tên lửa phần cứng).
Mạng kết nối mạch điều khiển các thiết bị đầu đạn với mạch điện hệ thống điều khiển tên lửa được thiết kế để kiểm tra tình trạng ban đầu của đầu đạn trước khi phóng, kiểm tra mạch điện khởi động đầu đạn và mở khóa an toàn cấp độ 1 trong khi tên lửa bay. Sơ đồ hệ thống mạch điện điều khiển với đầu đạn tên lửa đối với tất cả đầu đạn là như nhau. Trong khi kiểm tra kỹ thuật tên lửa tại trạm kỹ thuật tiến hành việc kiểm tra hoạt động thông mạch khi kết nối với tương đương với mạng điện đầu đạn, trên bệ phóng – kiểm tra thông mạnh và hoạt động của mạng điện đầu đạn.
![]() |
Hệ thống mạng điện đầu đạn tên lửa thực hiện các nội hàm sau:
Kiểm soát hoạt động của khóa an toàn cấp độ ;
Kiểm soát hoạt động của khóa an toàn cấp độ 2;
Tự động phục hội trạng thái của khóa an toàn cấp độ 1 trong trường hợp khóa an toàn đã khởi động;
Kiểm tra thông mạch mạng điện đầu đạn bằng thiết bị kiểm đo mô phỏng tương đương trong khu kỹ thuật tên lửa;
Tiến hành các thử nghiệm hệ thống điều khiển tên lửa khi đã lắp đầu đạn tên lửa vào tên lửa và tên lửa đang nằm trên vị trí chuẩn bị phóng đạn;
Mở khóa an toàn cấp độ 1 trên quỹ đạo bay của tên lửa khi tên lửa tắt động cơ đẩy.
Mạng điện của đầu đạn được thông mạch và chuẩn bị sau khi tên lửa rời khỏi bệ phóng trên xe tên lửa. 4 giây sau khi thiết bị 1SB12 ra lệnh tắt động cơ phản lực, phát lệnh tháo gỡ khóa an toàn cấp độ 1. Thông qua giắc cắm SH5A hệ thống APR của tên lửa kết nối với các thành phần của hệ thống APR trong các bộ phận của đầu đạn, đồng thời thông mạch mạng điện chuẩn bị mở khóa an toàn cấp độ 2. Khóa an toàn cấp độ 2 được mở khi tên lửa từ độ cao 5000 m hạ thấp đến độ cao 3000 m. Thông qua qua 03 ống cáp nối từ giắc cắm OSHO nối từ phần đuôi của tên lửa với mạng điện của hệ thống sấy đạn hạt nhân bên trong đầu đạn.
Đầu đạn tên lửa 8K14 có thể được trang bị tùy chọn các đầu đạn được kích hoạt từ xa hoặc đầu đạn đã kích hoạt sẵn sàng chiến đấu. Ban đầu tên lửa 8K14 được thiết kế để được sử dụng với nhiều loại đầu đạn với thuốc nổ thông thường 8F44 (nổ phá), hoặc đầu đạn hạt nhân 8F14 (269A) với đạn uranium RDS-4 đương lượng nổ 10 kt.
Khi xuất hiện vấn đề về khả năng tên lửa 8K14 mang đầu đạn hóa học, xuất hiện, tên lửa không thể lắp được đầu đạn hóa học, bởi vì đầu đạn cần có một nguồn năng lượng đủ để lưu giữ dài ngày chất nổ hóa học (ví dụ: pin ống). Cũng có vấn đề với việc lắp bình khí gas chiến đấu với gas –chất độc hóa học không vừa với kích thước của đầu đạn. Thiết kế đầu đạn hóa học 3N8 có khối lượng nặng hơn (1016 kg) và có cấu hình form khác (đầu đạn dưới cỡ tên lửa, nhưng dài hơn). Để sử dụng đầu đạn hóa học loại này đã phát triển thiết kế tên lửa loại 8K14-1.
Với đầu đạn nặng và dài hơn, các nhà thiết kế đã thay thế khung kết nối nhôm đã sử dụng khung kết nối thép, nguồn điện sử dụng cho đầu đạn hóa học đã được lấy từ các bình điện ống của xe bệ phóng tên lửa và bình acquy của hệ thống SAPR của tên lửa – đưa đường ống không khi áp suất thấp khoang thiết bị và mặt bích kết nối của thân tên lửa với đầu đạn.
Sau này ,đã thay thế đầu đạn 3N8 bằng các đầu đạn MS 8F44G, có kích thước và trọng lượng tương đương đầu đạn nổ thương. Các đầu đạn hóa học được nâng cấp và hiện đại hóa lấy mã tên là 8F44G1. Thiết bị điều khiển đầu đạn hóa học cho phép lựa chọn chiều cao để kíc hoạt thuốc hóa học.
Thay thế cho đầu đạn hạt nhân 8F14 là đầu đạn hạt nhân 9N33 với đạn hạt nhân RA-17 (thuốc nổ plutonium nổ nén). Hiện đại hóa và nâng cấp đầu đạn hạt nhân 9N33-1 với các đương lượng nổ khác nhau (RA104 – đương lượng nổ hạt nhân 50 kt, RA104-1 – đương lượng nổ hạt nhân 100 kiloton, RA104-2 – đạn nhiệt hạch).
Tất cả các đầu đạn hạt nhân đều được trang bị hệ thống sấy nóng đạn hạt nhân và kiểm soát nhiệt độ từ xa hiệu quả. Thiết bị điều khiển các đầu đạn hạt nhân cho phép tiển hành các vụ nổ khác nhau: trên đất, trên không hoặc trên không độ cao thấp. 8F44 đầu đạn thuốc nổ thông thường sẽ kích nổ khi chạm mặt đất.
Trong biên chế của lữ đoàn tên lửa, biên chế các tổ hợp 9K72 Scud, các phân đội trong biên chế có khẩu đội khí tượng. Theo kết quả tổng hợp từ khí cầu dự báo thời tiết "Meteo-44", được sử dụng để tính toán phần tử bắn. Nếu các tiểu đoàn tên lửa hoạt động cô lập cách xa các lực lượng chủ lực (do khoảng cách quá xa, tiểu đoàn không thể sử dụng kết quả hệ thống "Meteo-44"), có thể sử dụng kết quả "Meteo-11" – thông tin khí tượng của pháo binh, thu được từ các đơn vị pháo gần nhất, với những thông số tính toán của "Meteo-11 " có thể đưa vào tính trong" Meteo-44 ". Dự báo Meteo-44 bao gồm: ngày và thời gian đo, chiều cao trạm khí tượng đang hoạt động trên mực nước biển, áp suất và nhiệt độ tại trạm thời tiết, nhiệt độ, hướng gió và tốc độ gió ở độ cao 24 km và 34 km, nhiệt độ ở độ độ cao 44 km, 54 km và 64 km.
Các tính toán cơ sở cho phóng tên lửa bao gồm:
Tọa độ của xe phóng tên lửa (tọa độ X, Y, và chiều cao so với mực nước biển);
Tọa độ của mục tiêu (tọa độ X, Y, và chiều cao so với mực nước biển), (trong các tính toán sử dụng đầy đủ tọa độ x,y (kinh độ, vĩ độ, sau đó chỉ cần xem xét ảnh hưởng của vĩ độ và hướng phóng tên lửa so với trục quay của Trái Đất trên tầm xa của tên lửa).
Tầm cao của vụ nổ (hạt nhân);
Độ lệch của trọng lượng so với chuẩn khi lắp ráp tên lửa;
Độ lệch của trọng lượng so với chuẩn khi lắp đầu đạn;
Nhiệt độ của nhiên liệu, (nạp nhiên liệu được tính theo khối lượng – trọng lương ,trọng lượng nhiên liệu nạp vào tên lửa phụ thuộc vào nhiệt độ của các thành phần nhiên liệu – Thông số kỹ thuật tất cả các thành phần của tên lửa được tính ở nhiệt độ 15 ° C)
Bảng khí tượng Meteo -44.
Các phần tử được tính toán : A - góc phương vị với mục tiêu; N – khoảng cách đến mục tiêu; n – điều kiện để kích hoạt hủy tên lửa khẩn cấp.
Đối với các tính toán phần tử bắn cho phóng tên lửa. Tiểu đoàn tên lửa sử dụng máy tính đường đạn 9V51B , các tính toán tương tự có thể được thực hiện thủ công có sử dụng bảng tính TR-550 và sử dụng một bảng tra cứu thông số sửa bắn PR-14 bằng đồ thị. Máy tính đường đạn 9V51B thiết kế cho 9K72, bây giờ đã lỗi thời và không đáp ứng yêu cầu hiện đại về độ tin cậy và tốc độ.
Ngoài ra máy tính này rất cồng kềnh - nó chiếm một không gian rất lớn trong xe chỉ huy của tiểu đoàn 9S436-1. Để theo dõi kết quả của tên lửa, trong tiểu đoàn sử dụng hai chiếc xe chỉ huy 9S436-1, các thông số tính toán được thực hiện đồng thời trên hai máy tính 9V51B. Hiện nay, để thực hiện các phép tính phần tử bắn, có sử dụng các máy tính đường đạn, gọn và hiện đại hơn gấp nhiều lần.
![]() |
| Xác định tọa độ phóng và hưởng phóng. |
![]() |
| Sơ đồ xác định điểm ngắm phóng. |
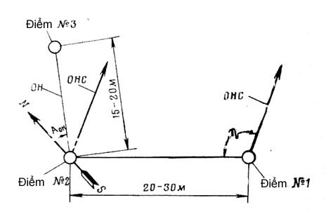
Tính toán phần tử bắn (ngắm – phóng) tên lửa 8К14 bao gồm nội dung nạp các thông số về tầm xa và hướng phóng đạn vào avtomat điều khiển bay trên tên lửa, có nghĩa là khớp mặt phẳng thẳng đứng của quỹ đạo đường đạn với mặt phẳng nằm ngang và hướng phóng đạn đến mục tiêu. Tính toán phần tử bắn và điều chỉnh bắn tên lửa được tiến hành triển khai ngay trên bệ phòng của xe tên lửa, bằng phương pháp quay bệ phóng đạn, góc quay được xác định bằng tổ hợp thiết bị ngắm – phóng 8S18, các thiết bị này nằm trong biên chế các trang thiết bị của xe tên lửa 2P19 và 9P117.
Đặc trưng (ngắm – phóng) của tên lửa 8К14 Scud là: tên lửa được đưa lên mặt phẳng phóng đạn thẳng đứng, vuông góc với mặt phẳng của bệ phóng, thông thường mặt phẳng phóng đạn trùng với mặt phẳng của 2 cánh ổn định số 1 và số 3. Tính toán độ lệch của tên lửa khi bay được thực hiện bởi thiết bị đo góc, bố trí ở khoảng giữa cánh ổn định số 2 và số 3.
Khi phóng đạn, tên lửa 8K14 được đưa vào tư thế phóng thẳng đứng bằng giá nâng vận tải mũi tên và ,tên lửa được gắn chặt vào bệ phóng bằng các bu lông chống gió đấy, giá nâng vận tải mũi tên được hạ xuống vị trí khi cơ động. Sau khi tên lửa đã ở vị trí thẳng đứng, kíp pháo thủ thực hiện các nhiệm vụ sau đây:
Kiểm tra hoạt động tổng thể hệ thống quản lý chung với mô phỏng khởi động động cơ đẩy bằng thiết bị 1SB12; Khởi động toàn bộ hệ thống chương trình vào trạng thái sẵn sàng khởi động; Chuẩn bị hệ thống APR cho phóng đạn; Thiết lấp chế độ kích nổ của đầu đạn; Nạp thông số tầm bắn vào hệ thống điều khiển tầm bắn tự động; Định hướng tên lửa về phía mục tiêu và kiểm tra định hướng (theo thiết bị IN-12/8K14); Nạp nhiên liệu phóng tên lửa vào tên lửa; Mở khóa 9V362M1; Kích hoạt các bình ăc quy trong tên lửa; Mở các bu lông gió của tên lửa;
Phóng tên lửa.
Điều khiển các đòn tấn công bằng tên lửa và duy trì thông tin liên lạc với chỉ huy cấp cao hơn được hỗ trợ bởi các phương tiện thông tin liên lạc trên sóng VHF và UHF, trên xe chỉ huy của tiểu đoàn với đài thông tin R-142, và các đài thông tin khác tại các khẩu đội tên lửa. Gần đây, quản lý điều hành tác chiến của tiểu đoàn tên lửa được thực hiện bằng hệ thống điều hành tác chiến tự động ACS "Pled" bằng phương pháp truyền dữ liệu thông qua đài thông tin truyền thông chuyển tiếp R-412 bằng mật mã dịch tự động.
Trong lực lượng lục quân Liên bang Xô Viết, hệ thống tên lửa quân đội Liên Xô sử dụng tên lửa 9K72 nằm trong biên chế cấp lữ đoàn (RBR) của các quân đoàn bộ binh và các tập đoàn quân. Cơ cấu biên chế cơ bản của lữ đoàn tên lửa (RBR) 9K72 "Elbrus" như sau:
![]() |
Sở chỉ huy lữ đoàn và ban tham mưu RBG
Ba tiểu đoàn tên lửa (ORDN)
Khẩu đội điều hành tác chiến
Khẩu đội khí tượng
Khẩu đội bảo dưỡng tên lửa định kỳ và sửa chữa nhỏ (RDB)
Đại đội công binh công trình,
Trung đội phòng hóa,
Trung đội xe vận tải,
Trung đội hậu cần,
Trung đội y tế .
Mỗi một tiểu đoàn tên lửa có từ 4 – 6 tên lửa sẵn sàng phóng đợt 1.
Ngoài các đơn vị tên lửa, còn có các đơn vị hậu cần kỹ thuật cơ động, có nhiệm vụ cung cấp và đảm bảo đạn tên lửa cho đợt phóng đạn tiếp theo, duy trì và bảo quản các đầu đạn tên lửa hạt nhân, hóa học.
Video mô phỏng hoạt động chiến đấu của tên lửa
Тính năng kỹ chiến thuật tên lửa
| Tầm bắn , km |
50-300 |
| Trọng lượng cất cánh, kg |
5862 |
| Khối lượng tên lửa chưa nạp nhiên liệu, kg |
2076 |
| Chiều dài tên lửa, mm |
11164 |
| Đường kính tên lửa, mm |
880 |
| Sải cánh ổn định, mm |
1810 |
| Trọng lượng xe tên lửa 9P117 với tên lửa, Tấn |
37 |
| Dự trữ hành trình không bổ xung nhiêu liệu, km |
500 |
| Kíp trắc thủ tên lửa 9P117, người |
8 |
Thử nghiệm và khai thác sử dụng
Khi tiến hành các hoạt động tác chiến tại Afghanistan, tiểu đoàn 9K72 đã tiến hành hàng nghìn lượt phóng đạn thành công. Trong địa hình vùng núi, để thu được hiệu quả tác chiến cao nhất, tiểu đoàn đã nhiều lần phóng đạn sử dụng thuốc nổ thường 8K14 ở tầm bắn gần nhất. Khi tên lửa ngắt động cơ, trong các thùng nhiên liệu có khoảng 1 tấn rưỡi nhiên liệu phóng và không dưới 2 tấn ô xi hóa, hiệu quả của vụ nổ và gây cháy của tên lửa còn cao hơn gấp nhiều lần so với hiệu quả vụ nổ của thuốc nổ phá thông thường. Tên lửa 9K72 "Elbrus" (Scud –B) được biên chế trong lực lượng vũ trang nhiều nước và đã tham gia nhiều cuộc chiến tranh khu vực.
Vào năm 1973 các đơn vị tên lửa Ai cập đã phóng tên lửa 8K14 vào các mục tiêu của Israel trên bán đảo Sinai.
Iraq trên cơ sở của tên lửa 8k14 đx phát triển các tên lửa "El Hussein" và "El Abbas” giảm sức công phá của đầu đạn bằng cách giảm khối lượng thuốc nổ xuống còn 250 kg đầu đạn và 500 kg đầu đạn, đồng thời tối ưu hóa chế độ làm việc của động cơ. Tên lửa có thể có tầm bắn từ 550 km và 850 km, nhưng với tầm bắn xa như vậy, độ chính xác của tên lửa giảm rất thấp. Vào năm 1980-1988 trong cuộc chiến tranh Iran – Iraq, cả hai nước đã tiến hành những đòn tấn công tên lửa và các thành phố của nhau.
Trong chiến dịch “Bão táp sa mạc”, Iraq cũng đã nhiều lần sử dụng tên lửa chống lại quân đội Mỹ và tấn công các mục tiêu ở Kuwait, Israel và Saudi Arabia. Ngay trong cuộc chiến tranh này, các lực lượng tên lửa phòng không hiện đại cũng không thể đánh chặn được loại tên lửa R-17 đã quá lạc hậu.
TTB

















