Bầu trời đỏ rực bao trùm thành phố (Ảnh: Weibo)
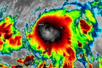
Trời đêm tại thành phố Thượng Hải, Trung Quốc chuyển màu liên tục trước khi siêu bão Bebinca, cơn bão mạnh nhất trong 75 năm, đổ bộ.
Bầu trời đỏ rực bao trùm thành phố (Ảnh: Weibo)
Năm 2025 đánh dấu giai đoạn biến động dữ dội của quan hệ Mỹ–Trung khi chiến tranh thương mại leo thang, thuế quan tăng vọt, chuỗi cung ứng toàn cầu bị xáo trộn và doanh nghiệp buộc phải tái tư duy chiến lược.
Có người nói thương trường như chiến trường, nhưng đối với một số người, cuộc đời mới là chiến trường tàn khốc nhất. Trong lịch sử thương trường Thái Lan, có một nhân vật truyền kỳ như thế.
FDA đang xem xét gắn cảnh báo “hộp đen” lên các loại vaccine Covid-19 - mức cảnh báo nghiêm trọng nhất của cơ quan này - gây lo ngại lớn trong giới khoa học Mỹ.
Anh lần đầu xác nhận triển khai lính dù tại Ukraine sau cái chết của binh sĩ George Hooley, hé lộ mạng lưới hoạt động bí mật suốt nhiều năm. Moscow yêu cầu làm rõ hoạt động của binh sĩ này.
Ngày 11/12, các hãng xe hàng đầu Mỹ đã công khai kêu gọi chính phủ ngăn chặn các doanh nghiệp ô tô và pin có vốn nhà nước Trung Quốc xây dựng nhà máy sản xuất tại Mỹ, cảnh báo tương lai ngành công nghiệp ô tô đang đối mặt “nguy cơ nghiêm trọng”.
Các nhà khoa học Đại học Hong Kong phát triển chất bán dẫn 3D dạng hydrogel siêu mềm, tương thích sinh học cao, giúp giảm phản ứng miễn dịch và mở ra thế hệ mới cho thiết bị cấy não, điện tử sinh học và robot mềm.
Mỹ bắt giữ tàu chở dầu Venezuela ngoài khơi Caribe, báo hiệu chiến dịch truy quét “đội tàu bóng tối” vận chuyển dầu lậu sang Trung Quốc và Iran.
Ngày 11/12, máy bay không người lái (UAV) “Cửu Thiên” do Tập đoàn Công nghiệp Hàng không Trung Quốc (AVIC) phát triển đã hoàn thành chuyến bay đầu tiên tại Phủ Thành, tỉnh Thiểm Tây.
UAV Hadid-110 của Iran đạt tốc độ tối đa 510 km/giờ, sử dụng động cơ phản lực và thiết kế tàng hình radar. Đây được xem là UAV tự sát nhanh nhất của Iran, cho thấy Tehran đang đẩy mạnh phát triển công nghệ không người lái.
Ông Zelensky cảnh báo mọi nhượng bộ lãnh thổ phải do người dân bỏ phiếu quyết định, giữa lúc Mỹ tăng sức ép buộc Kiev đạt thỏa thuận với Nga.
Tổng thống Nga Vladimir Putin bày tỏ sự ủng hộ mạnh mẽ với ông Nicolas Maduro khi Mỹ tăng cường hiện diện quân sự ở Caribe và thu giữ tàu chở dầu Venezuela, đẩy căng thẳng khu vực lên cao.
Nga tuyên bố cuộc gặp kín tại Điện Kremlin giữa ông Vladimir Putin và đặc phái viên Mỹ Steve Witkoff đã “xóa mọi hiểu lầm”, đưa hai bên quay lại bàn thảo căn nguyên cuộc xung đột Ukraine.
Đức xác nhận Tổng thống Mỹ ông Donald Trump đã nhận tài liệu mới về các nhượng bộ lãnh thổ Ukraine có thể chấp nhận để đạt hòa bình với Nga.
Nga sản xuất 3 lô thử nghiệm đầu tiên của vaccine ung thư cá nhân hóa ứng dụng AI tại Viện Gamaleya, mở ra kỷ nguyên điều trị mới bằng công nghệ mRNA.
Nga thông báo đánh chặn 287 UAV Ukraine, trong đó có 32 chiếc hướng thẳng về Moscow. Nhà ngoại giao Nga gọi đây là “đòn tuyệt vọng” của ông Zelensky.
Thủ đô Bắc Kinh vừa gây chú ý toàn cầu khi hoàn thành đại tu 18,3 km đường và hàng loạt hạng mục hạ tầng chỉ trong một đêm, một minh chứng điển hình cho thứ thường được gọi là “tốc độ Trung Quốc” (China Speed).
Chính quyền Trump ra mắt “thẻ vàng” giá 1 triệu USD cho người nước ngoài muốn xin cư trú nhanh, kèm “thẻ bạch kim” trị giá 5 triệu USD chuẩn bị ra mắt.
Nhật Bản xuất kích hàng loạt F-2 mang ASM-2 mô phỏng tấn công nhóm tàu sân bay Liêu Ninh của Trung Quốc. Nhưng với tầm bắn hạn chế và sự vượt trội của J-15B, liệu F-2 có đủ sức tiếp cận?
Toronto khởi động dự án YZD trị giá 30 tỷ USD để biến sân bay Downsview thành quận đô thị xanh, nơi sinh sống của 50.000 người với 75 mẫu không gian xanh, tái sử dụng nhà chứa máy bay, đường băng và bảo tồn di sản hàng không.
Ông Donald Trump chỉ trích ông Zelensky vì không tổ chức bầu cử sau khi nhiệm kỳ kết thúc, nói 82% người dân Ukraine muốn thỏa thuận hòa bình với Nga.