close Đăng nhập
FPT khởi công Trung tâm AI

FPT khởi công Trung tâm AI

Dự án Trung tâm Trí tuệ nhân tạo - Đô thị phụ trợ của FPT có quy mô 93,24 ha với tổng vốn đầu tư 4.362 tỉ đồng, đặt tại phường Trần Quang Diệu và phường Bùi Thị Xuân, thành phố Quy Nhơn, tỉnh Bình Định.

Công văn của Bộ Y tế về vụ việc của sản phụ L. tử vong sau khi mổ sinh

Sản phụ tử vong sau mổ ở Bình Định: Bộ Y tế vào cuộc

VietTimes -- Trước sự cố y khoa tại Trung tâm Y tế huyện Tây Sơn (Bình Định) khiến sản phụ Võ Thị Bích L. (26 tuổi) tử vong, Bộ Y tế yêu cầu Sở Y tế tỉnh Bình Định xác minh thông tin và gửi báo cáo nhanh về Bộ trước 12h ngày 18/7, xử lý nghiêm tập thể và cá nhân nếu có sai phạm.
Chùa Linh Phong đang được xây dựng.

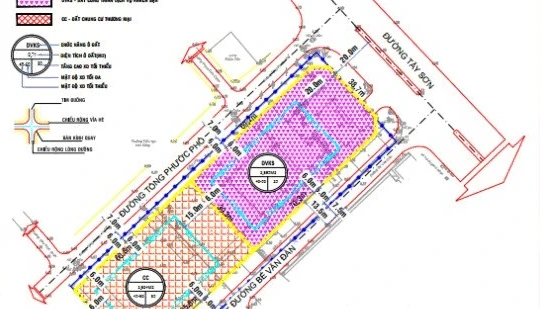
Bình Định: Triển khai Khu dân cư dọc tuyến đường nối từ đường trục Khu kinh tế đến Khu tâm linh Chùa Linh Phong

VietTimes -- Phó Chủ tịch UBND tỉnh Bình Định Phan Cao Thắng vừa ký công văn về việc triển khai đầu tư xây dựng Công trình Khu dân cư dọc tuyến đường nối từ đường trục Khu kinh tế đến Khu tâm linh chùa Linh Phong, gửi các Sở: Kế hoạch và Đầu tư, Xây dựng, Ban Quản lý Khu kinh tế, UBND huyện Phù Cát.