Ấn vào đây để nhận tin thông báo mới nhất từ Viettimes.vn

RSS Mobile
  • Theo dõi chúng tôi:
Viettimes - tin tức và phân tích chuyên sâu kinh tế, quốc tế, y tế
  • Kinh tế - Dữ liệu
    • Dữ liệu
    • Kinh Doanh
    • Bất động sản
  • Thời sự - Xã Hội
    • Xã hội
    • Y tế
    • Giáo dục
    • Pháp luật
  • Khoa học - Công nghệ
    • Chuyển đổi số
    • Internet
    • Xe
    • Mobile
  • Thế giới
    • Toàn cảnh
    • Phân tích
    • Chuyện lạ
  • Truyền thông số
    • Tin tức
    • Hoạt động Hội viên
  • Chuyện doanh nhân
  • Multimedia
    • Ảnh
    • Video
    • Emagazine
    • Infographic
  • Cải chính

Từ khóa: #bão lũ miền trung

Bệnh viện Việt Đức hỗ trợ 1 tỷ đồng cho 3 bệnh viện bị thiệt hại nặng sau bão lũ

Bệnh viện Việt Đức hỗ trợ 1 tỷ đồng cho 3 bệnh viện bị thiệt hại nặng sau bão lũ

Hôm nay, 5/11, Bệnh viện Hữu nghị Việt Đức đã dành 1 tỷ đồng quyên góp từ các cán bộ, nhân viên bệnh viện gửi tặng ba đơn vị y tế ở miền Trung chịu ảnh hưởng nặng nề trong đợt bão lũ vừa qua.

Giao thông trên Quốc lộ 1A đoạn qua địa bàn xã Tam Đàn và xã Tam An (thuộc huyện Phú Ninh, tỉnh Quảng Nam) đã được thông suốt

Đường sắt và đường bộ đoạn qua tỉnh Quảng Nam đã thông suốt

VietTimes – Ngày 25/10, Sở GTVT tỉnh Quảng Nam cho biết, tình hình giao thông trên địa bàn tỉnh Quảng Nam qua tuyến Quốc lộ 1A và đường sắt Bắc – Nam đã khôi phục giao thông trở lại vào sáng cùng ngày.
Lực lượng tại chỗ tìm kiếm 1 nạn nhân còn mất tích (Ảnh: Nguyên Hà)

Vì sao nhóm người đi đường ở Bắc Trà My bị núi sạt lở vùi lấp?

VietTimes –  Đoạn clip khó tin ghi lại cảnh sạt lở kinh hoàng tại Bắc Trà My (Quảng Nam) vùi lấp người đi đường trong phút chốc khiến người dân hết hồn.

Nhiều hoang tin về bão lũ xuất hiện trên mạng xã hội

Thủ tướng yêu cầu xử lý thông tin sai sự thật về bão lũ trên MXH

VietTimes –  Các hành vi đưa tin sai sự thật về tình hình bão lũ sẽ bị xử lý nghiêm khắc.

Thuỷ Tiên xuất hiện ở miền Trung, phát tiền cứu trợ bà con vùng lũ ngay trước thềm siêu bão số 9 (Ảnh: FBNV)

Video Thuỷ Tiên, Công Vinh phát tiền cứu trợ tại miền Trung trước siêu bão số 9

VietTimes –  Ngay trước thềm siêu bão số 9, hai vợ chồng Thuỷ Tiên - Công Vinh cùng xuất hiện tại miền Trung, livestream phát tiền cứu trợ giúp người dân sớm ổn định cuộc sống.
Nước lũ đã rút, người dân thực sự cần gì? (Ảnh: Hoà Bình ghép)

Nước lũ rút đi, người dân miền Trung thực sự cần gì?

VietTimes –  Rất nhiều đoàn thiện nguyện vẫn đang tiếp tục dồn về cứu trợ vùng lũ, tuy nhiên, vì chưa rõ người dân miền Trung thực sự cần gì nên đã dẫn đến những cảnh “náo loạn”, lộn xộn.
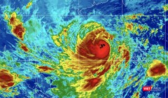
Hình ảnh mây vệ tinh cơn bão số 9

Bão số 9 tăng sức mạnh giật cấp 17 tiến thẳng vào Đà Nẵng - Phú Yên

VietTimes – Dự kiến, đến 4h ngày 28/10, tâm siêu bão số 9 sẽ ở vịnh biển Đà Nẵng đến Phú Yên, với sức gió mạnh nhất vùng gần tâm bão mạnh cấp 13-14, giật cấp 17.
Người dân di chuyển khi thời tiết bão lũ (Ảnh: Hoàng Triều - nguồn: baothuathienhue.vn)

10 ngày sau lũ, nguy cơ bệnh viêm kết mạc và đau mắt hột tấn công người dân

VietTimes – Những ngày qua, nhiều tỉnh ở miền Trung ngập trong bão lũ. Thiếu nước sạch trong nhiều ngày chính là nguy cơ tiềm ẩn về bệnh tật ngay sau khi nước rút, như bệnh viêm kết mạc và đau mắt hột.
Tàu thuyền vào neo đậu tránh bão tại âu thuyền Thọ Quang (Đà Nẵng)

Bão số 9 cận kề, Thủ tướng yêu cầu các đơn vị triển khai “4 tại chỗ”

VietTimes – Trước diễn biến phức tạp của bão số 9 và để hạn chế thiệt hại, Thủ tướng Chính phủ vừa yêu cầu các cơ quan chức năng theo dõi sát diễn biến của bão, kịp thời chỉ đạo, triển khai công tác ứng phó theo phương châm “4 tại chỗ”.
Người dân di chuyển khi nước lũ dâng cao (Ảnh: Hoàng Triều - Nguồn: baothuathienhue.vn)

Bão số 9 có cấp độ rủi ro thiên tai rất lớn: Bộ Y tế yêu cầu các bệnh viện phải đủ nước sạch

VietTimes – Trước tình hình bão số 9 đã đi vào Biển Đông với cấp độ rủi ro thiên tai rất lớn, Bộ Y tế đã yêu cầu các bệnh viện phải đảm bảo nước sạch trong mùa mưa lũ.
Bác sĩ tại Bệnh viện Hữu nghị Đa khoa Nghệ An đã gói hơn 500 chiếc bánh chưng để chống lũ (Ảnh: Hoàng Linh)

Các bác sĩ gói hơn 500 chiếc bánh chưng tiếp tế cho bà con miền Trung đang gồng mình chống lũ

VietTimes – Với mong muốn san sẻ yêu thương, giúp đỡ người dân miền Trung đang gồng mình chống lũ, các bác sĩ tại Bệnh viện Hữu nghị Đa khoa Nghệ An đã đóng góp tiền và tự tay gói hơn 500 chiếc bánh chưng dể gửi đến bà con.
Người dân ở Huế di chuyển trong bão lũ (Ảnh: baothuathienhue.vn)

Cách đơn giản để làm sạch nước khi lũ rút như thế nào?

VietTimes – Sau khi nước lũ rút, không phải hộ gia đình nào cũng có nước sạch để sử dụng vì nguồn nước có thể bị ô nhiễm, điều kiện vệ sinh môi trường không đảm bảo.
Cả nước đang hướng về ủng hộ người dân vùng lũ miền Trung.

Người dân có thể gửi hàng ủng hộ miền Trung miễn phí ở đâu?

VietTimes –  Cùng cả nước chung tay hướng về miền Trung, một số đơn vị bưu chính đã mở các điểm tiếp nhận và vận chuyển hàng cứu trợ đến tận tay đồng bào các tỉnh đang chịu ảnh hưởng của lũ lụt.
Luật sư Đặng Văn Cường – Trưởng Văn phòng Luật sư Chính Pháp (Ảnh: LS Đặng Văn Cường)

Thuỷ Tiên quyên góp hơn 100 tỉ cho miền Trung: Phù hợp quan hệ pháp luật dân sự và đạo đức xã hội

VietTimes – Việc nữ ca sĩ Thuỷ Tiên kêu gọi được hơn 100 tỉ đồng ủng hộ đồng bào miền Trung bão lũ đang được dư luận ủng hộ. Nhưng có ý kiến cho rằng theo Nghị định 64/2008, cá nhân không được phép làm việc này.
Ca sĩ Thuỷ Tiên lặn lội về cứu trợ bà con vùng bão lũ (Ảnh: FBNV - Hoà Bình ghép)

Ca sĩ Thuỷ Tiên không ngại chia sẻ đã bị ghẻ vì dầm nước lũ quá lâu

VietTimes –  Ca sĩ Thủy Tiên vừa  thông báo đã quyên góp được hơn 60 tỷ đồng cứu trợ bà con vùng lũ, nhưng vì dầm nước lũ quá lâu nên đã... bị ghẻ.
Rất nhiều sao Việt đang mang hàng cứu trợ về tới tay bà con vùng lũ (Ảnh: Hoà Bình ghép)

“Sao” Việt bày tỏ nhiều hành động thương về Miền Trung bão lũ

VietTimes –  Rất nhiều “sao” Việt đang đổ dồn về miền Trung, vừa cầu mưa ngừng rơi, vừa trực tiếp có nhiều hành động thiết thực, cứu trợ bà con vùng bão lũ.
PGS.TS. Trần Đắc Phu - nguyên Cục trưởng Cục Y tế Dự phòng, Cố vấn cao cấp Trung tâm Đáp ứng khẩn cấp sự kiện y tế công cộng Việt Nam (Ảnh: Minh Thuý)

Tình hình bão lũ miền Trung phức tạp, người dân dễ mắc bệnh gì?

VietTimes – Hiện, tình hình bão lũ miền Trung đang vô cùng phức tạp. Bão lũ thường đi kèm với thiên tai, dịch bệnh gây ảnh hưởng không nhỏ đến sức khoẻ của người dân.
Quyền Bộ trưởng Bộ Y tế Nguyễn Thanh Long ủng hộ đồng bào miền Trung khắc phục hậu quả thiên tai (Ảnh: Tuấn Dũng)

Quyền Bộ trưởng Bộ Y tế Nguyễn Thanh Long kêu gọi ngành Y tế chung tay vì miền Trung ruột thịt

VietTimes – Trước tình hình các tỉnh miền Trung đang phải chống chọi với bão lũ gây thiệt hại lớn về người và của, Quyền Bộ trưởng Bộ Y tế Nguyễn Thanh Long đã kêu gọi ngành Y tế chung tay vì người nghèo, ủng hộ đồng bào miền Trung ruột thịt. 

Tin mới

Chuyên cơ chở ông Putin gây sốt toàn cầu: Có gì bên trong "Điện Kremlin bay"?

Trái phiếu địa phương Trung Quốc lần đầu tiên vượt mốc 10 nghìn tỷ NDT/năm

Đại gia “Khoa khàn” vừa tái xuất là ai?

Tin nóng công nghệ 5/12: Vì sao tỷ phú Sam Altman muốn đưa trung tâm dữ liệu AI lên vũ trụ?

Ukraine và thảm họa dân số: Bệnh viện sản, trường học hoang lạnh và nỗi lo “ai tái thiết đất nước?”

Thúc đẩy Kinh tế số

Chủ tịch Arobid Trần Văn Chín tiết lộ “chìa khóa số” giúp doanh nghiệp Việt vươn ra thế giới

Chủ tịch Arobid Trần Văn Chín tiết lộ “chìa khóa số” giúp doanh nghiệp Việt vươn ra thế giới

Thứ trưởng Bộ KH&CN Bùi Thế Duy phát biểu tại Hội nghị.

Việt Nam thúc đẩy hình thành hệ sinh thái 5G – AI cho phát triển bền vững ASEAN

Giải thưởng VDA tạo động lực mạnh mẽ để tổ chức, doanh nghiệp vươn lên làm chủ công nghệ

Giải thưởng VDA tạo động lực mạnh mẽ để tổ chức, doanh nghiệp vươn lên làm chủ công nghệ

Giải thưởng VDA là hoạt động thiết thực hưởng ứng tinh thần Nghị quyết số 57 của Bộ Chính trị về đột phá phát triển khoa học, công nghệ, đổi mới sáng tạo và chuyển đổi số quốc gia.

Phát động Giải thưởng Chuyển đổi số Việt Nam 2025 "VDA là giải thưởng danh giá, thể hiện nỗ lực chuyển đổi số quốc gia"

VDA đóng góp tích cực vào sự phát triển kinh tế số, xã hội số, chính phủ số

VDA đóng góp tích cực vào sự phát triển kinh tế số, xã hội số, chính phủ số

TRANG CHỦ

Đại gia “Khoa khàn” vừa tái xuất là ai?

Đại gia “Khoa khàn” vừa tái xuất là ai?

Doanh nghiệp dồn dập thoái vốn, hé lộ những thương vụ lớn "chạy" deadline cuối năm

Doanh nghiệp dồn dập thoái vốn, hé lộ những thương vụ lớn "chạy" deadline cuối năm

Mirae bị UBCKNN xử phạt lần 2 trong năm nay do loạt vi phạm

Vướng loạt vi phạm, Chứng khoán Mirae Asset liên tục nhận án phạt từ Uỷ ban Chứng khoán

Đề xuất 2 chính sách đặc thù cho dự án đường sắt tốc độ cao Bắc – Nam

Đề xuất 2 chính sách đặc thù cho dự án đường sắt tốc độ cao Bắc – Nam

Rộ tin sắp về tay tập đoàn của Nhật, bút bi Thiên Long nói gì?

Rộ tin sắp về tay tập đoàn của Nhật, bút bi Thiên Long nói gì?

Viettimes - tin tức và phân tích chuyên sâu kinh tế, quốc tế, y tế App Store Google Play

TẠP CHÍ ĐIỆN TỬ VIETTIMES

Cơ quan của Hội Truyền thông số Việt Nam

Giấy phép báo chí điện tử số 699/GP-BTTTT do Bộ trưởng Thông tin và Truyền thông cấp ngày 21/12/2015

Tổng Biên tập: Nguyễn Bá Kiên

Tòa soạn: LK16-18, Khu đô thị Hinode Royal Park, Kim Chung, Hoài Đức, Hà Nội; Điện thoại/fax: (024)32 151175

VP đại diện tại miền Nam: Tầng 3, số 54, đường C1, phường 13, quận Tân Bình, TP.HCM

® Chỉ được đăng tải nội dung thông tin khi có sự đồng ý bằng văn bản của Tạp chí Viettimes.

Email: toasoan@viettimes.vn

Đường dây nóng: 0862 774 832

Liên hệ quảng cáo: 093 228 8166