Ấn vào đây để nhận tin thông báo mới nhất từ Viettimes.vn

RSS Mobile
  • Theo dõi chúng tôi:
Viettimes - tin tức và phân tích chuyên sâu kinh tế, quốc tế, y tế
  • Kinh tế - Dữ liệu
    • Dữ liệu
    • Kinh Doanh
    • Bất động sản
  • Thời sự - Xã Hội
    • Xã hội
    • Y tế
    • Giáo dục
    • Pháp luật
  • Khoa học - Công nghệ
    • Chuyển đổi số
    • Internet
    • Xe
    • Mobile
  • Thế giới
    • Toàn cảnh
    • Phân tích
    • Chuyện lạ
  • Truyền thông số
    • Tin tức
    • Hoạt động Hội viên
  • Chuyện doanh nhân
  • Multimedia
    • Ảnh
    • Video
    • Emagazine
    • Infographic
  • Cải chính

Từ khóa: #Vietnam Airines

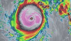
siêu bão NEPARTAK hình thành trên vùng biển đông bắc đảo Luzon (Philippines) với gió mạnh nhất gần tâm bão đạt cấp 17 (khoảng 200 - 220km/giờ).

Vietnam Airlines "vỡ kế hoạch" cả chục chuyến bay vì siêu bão Nepartak

VietTimes - Vietnam Airlines đã phải điều chỉnh hàng lọt chuyến bay đến Đài Loan do ảnh hưởng của bão Nepartak. 

Tin mới

Cựu Chủ tịch Bamboo Airways: "Tôi và ông Dương Công Minh sẽ trả các khoản nợ phát sinh"

Hội doanh nhân trẻ Đà Nẵng lên kế hoạch đào tạo hơn 10.000 CEO

Sinh viên ĐH Bách khoa Hà Nội được đào tạo AI, 5G, Cloud chuẩn quốc tế

Dự kiến thí điểm khu thương mại tự do tại Đà Nẵng, Hải Phòng, TP.HCM vào năm sau

Bị cáo buộc hỗ trợ hoạt động khủng bố và tội phạm, Nga chặn hoàn toàn Snapchat, hạn chế FaceTime

Thúc đẩy Kinh tế số

Chủ tịch Arobid Trần Văn Chín tiết lộ “chìa khóa số” giúp doanh nghiệp Việt vươn ra thế giới

Chủ tịch Arobid Trần Văn Chín tiết lộ “chìa khóa số” giúp doanh nghiệp Việt vươn ra thế giới

Thứ trưởng Bộ KH&CN Bùi Thế Duy phát biểu tại Hội nghị.

Việt Nam thúc đẩy hình thành hệ sinh thái 5G – AI cho phát triển bền vững ASEAN

Giải thưởng VDA tạo động lực mạnh mẽ để tổ chức, doanh nghiệp vươn lên làm chủ công nghệ

Giải thưởng VDA tạo động lực mạnh mẽ để tổ chức, doanh nghiệp vươn lên làm chủ công nghệ

Giải thưởng VDA là hoạt động thiết thực hưởng ứng tinh thần Nghị quyết số 57 của Bộ Chính trị về đột phá phát triển khoa học, công nghệ, đổi mới sáng tạo và chuyển đổi số quốc gia.

Phát động Giải thưởng Chuyển đổi số Việt Nam 2025 "VDA là giải thưởng danh giá, thể hiện nỗ lực chuyển đổi số quốc gia"

VDA đóng góp tích cực vào sự phát triển kinh tế số, xã hội số, chính phủ số

VDA đóng góp tích cực vào sự phát triển kinh tế số, xã hội số, chính phủ số

TRANG CHỦ

Dự kiến thí điểm khu thương mại tự do tại Đà Nẵng, Hải Phòng, TP.HCM vào năm sau

Dự kiến thí điểm khu thương mại tự do tại Đà Nẵng, Hải Phòng, TP.HCM vào năm sau

Bamboo Airways còn 7 tàu bay và gánh nợ hơn 9.000 tỷ đồng

Cựu Chủ tịch Bamboo Airways: "Tôi và ông Dương Công Minh sẽ trả các khoản nợ phát sinh"

Snapchat bị Nga chặn hoàn toàn vì cho là bị sử dụng vào hoạt động khủng bố và tội phạm. Ảnh: Singtao.

Bị cáo buộc hỗ trợ hoạt động khủng bố và tội phạm, Nga chặn hoàn toàn Snapchat, hạn chế FaceTime

Giáo sư Ken Ono, người quyết định rời bỏ giới học thuật để đầu quân cho starup AI của học trò. Ảnh: Quanta.

Bậc thầy toán học Mỹ bỏ dạy về làm cho học trò - nữ nhân tài AI 24 tuổi

Đại gia “Khoa khàn” vừa tái xuất là ai?

Đại gia “Khoa khàn” vừa tái xuất là ai?

Viettimes - tin tức và phân tích chuyên sâu kinh tế, quốc tế, y tế App Store Google Play

TẠP CHÍ ĐIỆN TỬ VIETTIMES

Cơ quan của Hội Truyền thông số Việt Nam

Giấy phép báo chí điện tử số 699/GP-BTTTT do Bộ trưởng Thông tin và Truyền thông cấp ngày 21/12/2015

Tổng Biên tập: Nguyễn Bá Kiên

Tòa soạn: LK16-18, Khu đô thị Hinode Royal Park, Kim Chung, Hoài Đức, Hà Nội; Điện thoại/fax: (024)32 151175

VP đại diện tại miền Nam: Tầng 3, số 54, đường C1, phường 13, quận Tân Bình, TP.HCM

® Chỉ được đăng tải nội dung thông tin khi có sự đồng ý bằng văn bản của Tạp chí Viettimes.

Email: toasoan@viettimes.vn

Đường dây nóng: 0862 774 832

Liên hệ quảng cáo: 093 228 8166